
Sharks Cove
Dienstag, 11. April 2023
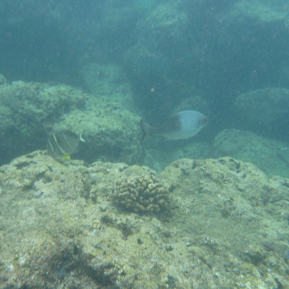
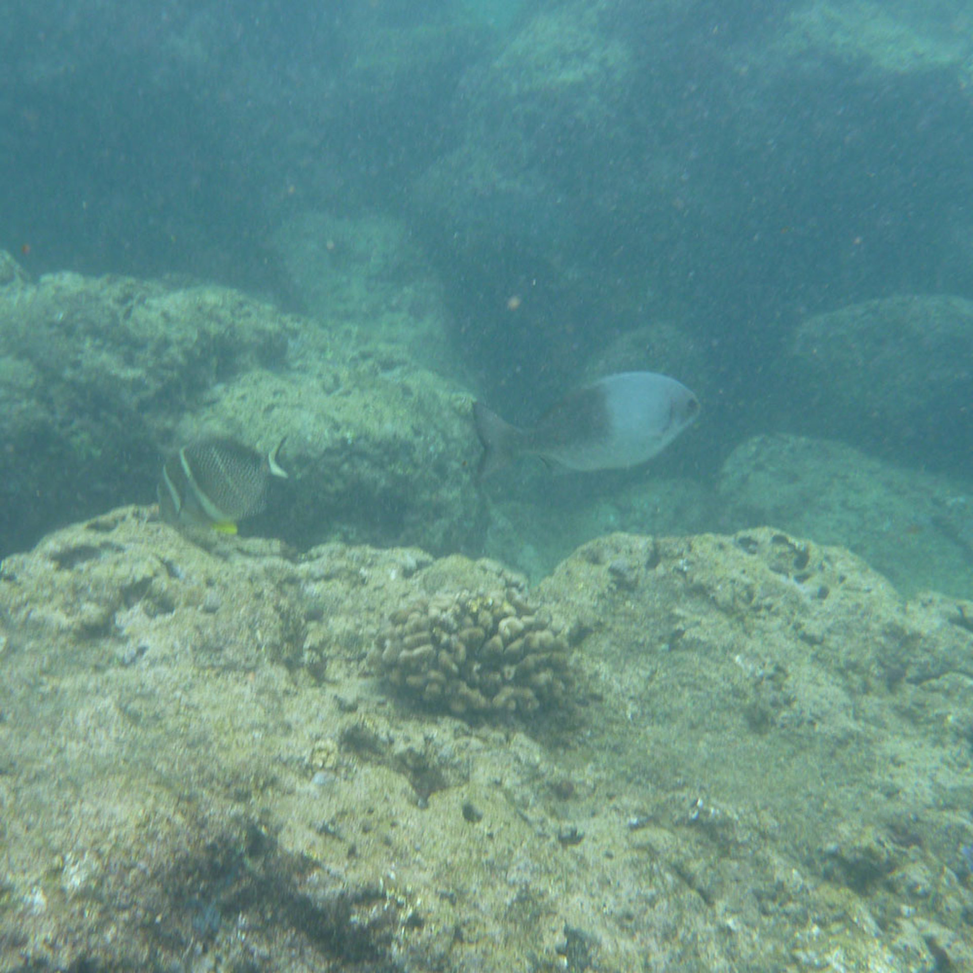
Wir wollten mal wieder in der Sharks Cove schnorcheln gehen. Leider war so wenig Wasser in den einzelnen Becken, dass wir außerhalb ins Wasser gegangen sind. Hier waren dann doch noch einige nette Fische unterwegs.
"unsere" Beach am Crozier Drive North Shore